
Uma bebida desenvolvida pela NASA e foi concebida para os astronautas consumirem tem efeitos de rejuvenescimento da pele.
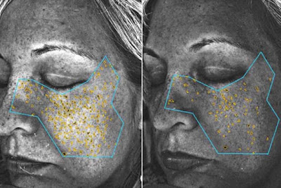
Uma equipa de investigadores estudou a bebida, chamada AS-10, e as suas consequências. A conclusão a que chegaram é que o líquido tem a capacidade de, em quatro meses, atrasar e mesmo reverter os efeitos do envelhecimento, incluindo apagar rugas na pele.
A bebida, um suplemento alimentar, foi concebida para evitar danos da radiação aos astronautas, noticia o Daily Mail.
Os testes desenvolvidos pelos investigadores revelaram que, em quatro meses, quem ingeriu a bêbeda duas vezes por dia chegou ao fim do teste com menos rugas e manchas provocadas pelo sol.















